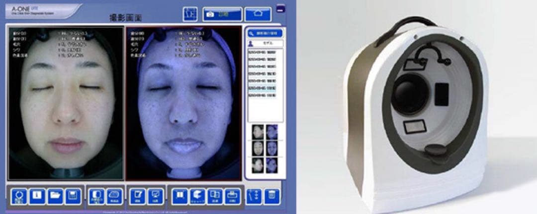
肌診断機 A-ONE パソコン付き
(3829件)
Pontaパス特典
サンキュー配送
201600円(税込)
2016ポイント(1%)
Pontaパス会員ならさらに+1%ポイント還元!
送料
(
)
3822
配送情報
お届け予定日:2026.05.13 11:59までにお届け
※一部地域・離島につきましては、表示のお届け予定日期間内にお届けできない場合があります。
ロットナンバー
4244544901
お買い物の前にチェック!
Pontaパス会員なら
ポイント+1%
ポイント+1%
商品説明
肌診断機械 A-ONE説明書、DVD付きパソコンも一緒にお送りします。ご縁がありましたらよろしくお願いいたします。スイングビート ヤーマン Exa Beaute AYS-35R RED。ネット販売価格880,000円数年前に購入イベントで数回使用ダンボールは捨ててしまった為、しっかり梱包してから発送いたします。YA-MAN 美顔器 HRF-10T。【週末限定】TBC スレンダーパッド 2 PRO (アーム、レッグ用)。レビュー
商品の評価:




4.6点(3829件)
- k-y-o2003
- 普段はインスタントしか飲まないけれど、豆を頂いてしまい急遽こちらを購入。 若干落ちるのが早い様な気もするが、やっぱペーパーレスはありがたい。 取っ手のシリコンが被ってるだけなので直ぐに外れてしまうのが残念。
- ワラピコ
- 切削部分の下地処理が悪く、ざらざらした部分にはニスが塗られていない状態。色も悪くせっかくのオリガミドリッパーと合わず残念。プラスチックの方にすればよかったと後悔。
- あきら65kg
- 紙フィルターでは無いものを探していました。 デザインも機能的にも素晴らしいです。 アウトドアにも最適で大満足です。
- fwnb5500
- 前に使っていた物が割れてしまったので、換わりを探して購入。 シンプルでとても綺麗です。 ハリオの円錐ドリッパーでいれると美味しく感じます。
- mao3933
- フィルター無しで使えるのは、毎日コーヒーを飲む私にとってはとても便利です👍コーヒーも今まで以上に美味しく感じます。
- つんつん1117
- キャンプ用に購入しました、普段使いにも最適で購入して良かったです
- spica0013
- 思った以上にしっかりとした素材感で、満足のいく商品でした。
- tony41
- キャンプ用で購入させて頂きました。 まだ使ってないため星4つですが、使うのが今から楽しみです
- K.K562
- ドリップバックの珈琲を飲むようになって、バックがカップの中で浸かって、手で持って取り出すのがなんか嫌だったので、この商品はとても良いです。
- koutan1105
- 正直高いなあと思ってましたが、手にしたときの軽さ、薄さ、使い勝手に納得しました。
- なおともやん1227
- 今までアクタスで購入したものを気に入って使っていましたが、見事に割れてしまい、色々と探していました。こちらはストレーナーの部分が使いやすそう!と思い購入しました。 ストレーナー自体急須と同じくらいの大きさなので、紅茶用のガラスのティーポットのようなジャンピングも期待できると思います。 よくジャスミンティーを飲むのですが、これまでのものと味が変わったねと主人と話しています。 こちらのお店は発送も早く送料も無料なのでお勧めです!
- kanmo72
- 週一使用で買って一ヶ月経ってないのに、ポットを乗せる部分が剥げてきた
- ぢょあん
- こんにちは♪ とても良い商品です。 何回でも使えるし、カップ上に直接設置できるし ペーパーフィルターの買い忘れの心配もありませんね! コーヒーがとても美味しく思います。 私は買って良かったなって思いました。 注文してから早く来たのでとても助かりました。 ありがとうございました。
- bulerose1026
- 同型の物があってよかった。取って部破損のまま10年(白)使用、やっとの事で交換です。やはりこれが良い。
すべて見る
お店の情報
7,367
連絡・応対
4.3
配送スピード
4.3
梱包
4.3










